
Die Hüftgelenksdysplasie ist eine angeborene Fehlbildung des Hüftgelenks, die zu einer Instabilität und Schädigung des Gelenks führen kann. Es besteht ein Missverhältnis zwischen dem Kopf des Oberschenkelknochens und der Pfanne des Beckens, was zu einer ungleichmäßigen Belastung und Schmerzen führt. Die Dysplasie kann zu einer Arthrose im Hüftgelenk führen, wenn sie nicht frühzeitig behandelt wird.
Was ist eine Dysplasie (HD)?
Dysplasie bedeutet Fehlentwicklung bzw. Fehlgestaltung von Körperteilen, Organen und Gewebe. Dysplasie=Bildungsstörung. Die Hüftgelenksdysplasie entwickelt sich im Durchschnitt innerhalb des ersten Lebensjahres. Sie hat einen polygenen Erbgang, also mehrere Gene beeinflussen die HD. Einfach ausgedrückt bedeutet HD: die gelenkigen Verbindungen im Hüftgelenk sind gelockert und verursachen in der Gelenkfunktion Schmerzen und Störungen.
Ist die HD primär genetisch bedingt?
Früher war man der Annahme, dass die HD lediglich genetisch bedingt ist. Heute weiß die Forschung, dass die HD sich aus mehreren Themenkomplexen zusammen setzt: DISPOSITION (die Summe der von den Eltern ererbten Anlagen, ca. 20-50%) und KONDITION (die Summe der erworbenen Eigenschaften wie Fehlernährung, unphysiologische Bewegungsarten, Haltungsbedingungen, Aktivität des Hundes-belastungsbedingt, ca. 50-80%).
Die Verantwortlichkeit der Gene in der Vererbung der HD:
Einfach erklärt gibt es unter den Genen die sogenannten Null-Allelen (sie bewirken Gesundheit) und die Plus-Allelen (sie begünstigen den Defekt, die HD). Ein gesunder Hund, der also keine Plus-Allele in sich trägt wird auch keine vererben. Dennoch kann ein phänotypisch, im Erscheinungsbild gesund erscheinender Hund (HD-frei geröntgt), die Plus-Allele in sich tragen und sie vererben. In diesem Fall ist das jeweilige Tier genotypisch krank.
Eine Beispielverpaarung:
Beide Elterntiere sind HD-frei geröntgt aber ein Elternteil trägt die Plus-Allelen der HD in sich. Wenn also angenommen 50 gesunde Gene (Null-Allele) und 50 kranke Gene (Plus-Allele) sich mischen, so wird mit großer Wahrscheinlichkeit die HD vererbt werden. Wir dürfen niemals annehmen, dass sich nur die gesunden Gene vererben, denn das liegt in der Sache der Natur und wird durch sie bestimmt. Sie mischt die Gene zufällig und deswegen können gesunde sowie kranke Welpen gezeugt werden. Um genetisch gesunde Hunde zu züchten ist die Information über Vorfahren der Zuchttiere, deren Geschwister und weiteren Verwandten nötig. Eine Übersicht über die Nachzuchttiere ist von wichtigem Stellenwert.
Was wird in der Zucht gegen die HD unternommen?
Jeder verantwortungsvolle Züchter züchtet ausschließlich mit Elterntieren, die HD-frei geröntgt sind, incl. der Vorfahren der gesamten Zuchtlinie. Eine Nachzuchtbeurteilung im Zuge einer Röntgenuntersuchung macht auf weitere Sicht möglich, erkrankte Hunde zu erfassen. Natürlich gibt es immer noch Züchter, die ungenügend mit der gesamten Materie vertraut sind und die notwendigen Erkenntnisse nicht in die Tat umsetzen. Kein Züchter kann eine Garantie für einen HD-freien Welpen geben. Trägertiere der HD werden von der Zucht ausgeschlossen.
Fehlernährung begünstigt die HD:
Die Fehlernährung ist ein wichtiger Faktor (ca. 50-80%) der die HD zu einem großen Teil begünstigt. Drei Fütterungsfehler sind dabei von entscheidender Bedeutung. Nachfolgend die Ernährungsfehler, die von entscheidender Bedeutung sind und die HD trotz guter Disposition (Erbanlagen) begünstigen:
- Überernährung (Energie und Nährstoffe, Proteingehalt)
- Kalziumüberversorgung (Welpenkalk) und/oder
- zu hoher Vitamin D3-Gehalt und erhöhter Vitamin A Gehalt eines Futters
Vitamin D3 mit Kalzium im Futter und HD?
Eine übermäßige Verabreichung von Kalzium oder Kalziumverbindungen ist nur bei einem rachitischem Krankheitsbild notwendig. Bei einem Fertigfutter/Trockenfutter hat der Hersteller meist bilanziert und eine zusätzliche Zufuhr ist unnötig bzw. schädlich. Das Vitamin D3 ist im Körper des Hundes dafür verantwortlich, das Kalzium aufzunehmen. Also erzielt ein zu hoher Vitamin D3 Anteil und ein erhöhter Kalziumgehalt im Futter eine Beschleunigung der Knochenumbauprozesse. Daraus resultiert eine mangelnde Mineralisation, die dünne und brüchige Knochen nach sich zieht. Hinzu kommt ein ernährungsbedingter veränderter Säure-Basen-Haushalt. Hier stellt das übermäßige Vorhandensein bestimmter Ionen wie z.B. Chlorid, Kalium und Natrium ein Problem dar.
Welche Hunde sind von HD betroffen?
Grundsätzlich kann es jeden Hund treffen. Die Erkrankung ist jedoch bei mittelschweren und großen bis schweren Rassen deutlich stärker zu beobachten. Bestimmte Rassen sind besonders betroffen: Bernhardiner, Gordon Setter, English Setter, Deutscher Schäferhund und weitere. Bei Hündinnen wurde die Erkrankung durchschnittlich öfter und in der Ausführung schwerer beobachtet als bei Rüden.
Die Krankheitserscheinungen der HD:
Trotz HD können Hunde jahrelang ohne Symptome und Probleme leben. Krankheitssymptome sind häufig erst in der zweiten Lebenshälfte zu beobachten. Doch auch Fälle der HD im Alter von einem halben Jahr treten auf. Das Auftreten der HD ist abhängig vom Entwicklungsgrad des Leidens. Anzeichen für eine HD können sein: mangelnde Bewegungsfreude, Ermüdungserscheinungen bis zur Lahmheit, häufiges Hinlegen, Unsicherheit in der Hinterhand, Lahmheit nach körperlicher Anstrengung, asymmetrisches Becken mit schwankendem Gang, mühevolles Aufstehen, gehen in kleinen Schritten mit angewinkelten Hinterbeinen, schwache Muskulatur der Hinterhand usw. Nach einen skandinavischen Statistik zeigen nur etwa 20% der betroffenen Hunde Krankheitserscheinungen.
Behandlungsmöglichkeiten der HD:
Die Behandlungsmöglichkeiten zielen grundsätzlich auf ein verzögertes Fortschreiten der Gelenksveränderung ab. Weiterhin ist die Schmerzfreiheit durch Schmerzmittelgabe im Vordergrund. Bewegungseinschränkungen und gezieltes Bewegungstraining wie Schwimmen in Verbindung mit Schmerzmittelgabe durch den Tierarzt helfen dem betroffenen Hund ein weitgehend normales Leben zu führen. Medikamente, deren Inhaltsstoffe die Regeneration des geschädigten Knorpels unterstützen und die Bildung von Gelenkflüssigkeit fördern werden bei Bedarf eingesetzt. Akupunktur und Chiropraktik stellen eine gute, begleitende Alternative dar. Bei entzündlichen Gelenksveränderungen im Zuge der HD gibt es Medikamente die entzündungslindernd wirken. Bei einen schweren Form der HD stehen dem Hund chirurgische Eingriffe zur Verfügung.
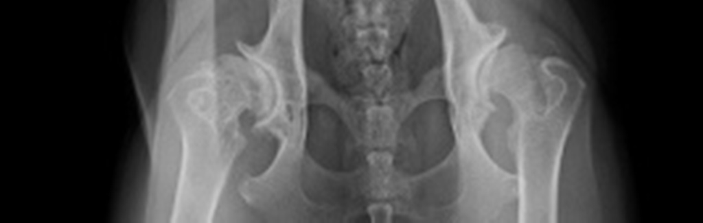
HD-Röntgen:
Bis heute stellt das Röntgen das zuverlässigste und zugleich praktikabelste Verfahren zur Diagnose der HD dar. Andere Methoden wie beispielweise die Ultraschall,- CT- und MRT-Diagnostik sind derzeit für die HD-Diagnostik noch nicht standardisiert oder nicht praktikabel.
Der Hund sollte zur endgültigen Begutachtung das erste Lebensjahr vollendet haben, da frühestens zu diesem Zeitpunkt mit einer vollständigen Entwicklung der Gelenke zu rechnen ist. Das sogenannte Vorröntgen vor dem ersten Lebensjahr kann ab der sechzehnten Lebenswoche Hinweise auf eine HD geben. Genauere Abstufungen und eine hundertprozentige Aussage können aber vor dem zwölften Lebensmonat nicht gemacht werden, da sowohl Verbesserung als auch Verschlechterungen möglich sind.
Für die Röntgendiagnostik ist eine Narkose zwingend vorgeschrieben, um eine optimale Lagerung und vor allem eine ausreichende Muskelentspannung zu erreichen. Es ist durchaus möglich, dass sich Hüftgelenke zur Begutachtung schlechter darstellen, wenn keine Muskelerschlaffung vorgelegen hat.
Das Risiko dieser Narkose für den Hund ist bei richtiger Anwendung der Medikamente und Vorsorge sehr gering. Es ist im Allgemeinen keine tiefe Vollnarkose, die zur Durchführung größerer Operationen ausreicht, notwendig, meist reicht eine Sedierung (Beruhigung) des Hundes, die nach dem Röntgen aufgehoben werden kann. Dies erspart dem Tier zudem Stresszustände, die durch die Manipulation der untersuchenden Personen ausgelöst werden können. Vor der Sedierung erfolgt eine Untersuchung des Hundes auf Narkosefähigkeit durch den Tierarzt. Der Hund sollte nicht im narkotisierten Zustand nach dem Röntgen mitgenommen werden. Es muss dem Hund möglich sein, nach der Narkose und der Aufwachphase die Praxisräume selbständig zu verlassen.

Das HD-Röntgen erfolgt durch zwei Personen, die jeweils an den Vordergliedmaßen und Hintergliedmaßen positioniert sind. Es sind zur Zeit zwei Standardlagerungen bzw. Röntgenaufnahmen für die Röntgendiagnostik etabliert und vorgeschrieben. Dies ermöglicht eine einheitliche Interpretation und Begutachtung.
Die Aufnahme in gestreckter Haltung wird für gewöhnlich als HD-Aufnahme verlangt. Der Hund wird auf dem Rücken symmetrisch gelagert, die Gliedmaße gestreckt sowie die Kniegelenke eingedreht. Mit dieser Art von „Stressaufnahme“ können einerseits etwaige Lockerheiten der Hüftgelenke erkannt werden, andererseits ermöglicht das Eindrehen der Kniegelenke die Darstellung des überwiegenden Teils des Oberschenkelhalses.
Voraussetzung für ein objektiv auswertbares Röntgenbild ist eine korrekte Lagerung des Hundes sowie eine optimale Röntgentechnik. Hierzu bedarf es auch einer gewissen Routine, Erfahrung und Kenntnis des röntgenden Tierarztes.
Jede nicht korrekte Positionierung kann zu einer Veränderung der Hüftgelenkssituation führen und erschwert eine objektive Beurteilung. Eine fehlerhafte Lagerung kann auch hier durchaus zu einer Aufnahme führen, die das Gelenk schlechter aussehen lässt, als es in Wirklichkeit ist. In solchen Fällen ist zu entscheiden, ob die vorliegende Aufnahme eine objektive Beurteilung noch zulässt. Die Technik und Lagerung sollte daher mindestens ausreichend sein.
HD-Bewertung:

Um eine möglichste einheitliche Bewertung zu gewährleisten, wurden mehrere Klassifizierungsschemata entworfen. Die Beurteilung erfolgt anhand klar definierter anatomischer Stellen (Kriterien) am Hüftgelenk. Die Befunde werden je nach Schwere in verschiedene Stufen eingeteilt und bestimmen den HD-Grad der Hüftgelenke.

Ein wesentliches Auswertungskriterium ist der Norberg-Winkel. Er ist als der Winkel definiert, der zwischen der Verbindungslinie der Zentren der beiden Oberschenkelköpfe und dem vorderen Pfannenrand abgetragen wird (siehe Abbildung). Bei einem HD-freien Tier sollte er mehr als 105° betragen. Weitere Beurteilungskriterien sind die Kongruenz (Übereinstimmung) von Oberschenkelkopf und Gelenkpfanne, die Weite des Gelenkspaltes, die Pfannenkontur, die Kontur des Oberschenkelkopfes sowie das Vorhandensein von Hinweisen auf arthrotische Prozesse wie walzenförmige Verdickungen des Oberschenkelhalses, Randwülste an der Gelenkpfanne, unter dem Knorpel befindliche Verdichtungen der Knochensubstanz im Pfannenbereich und die Anlagerung von Knochenmaterial am Ansatz der Gelenkkapsel der sogenannten Morgan-Linie.
Klassifizierung für HD:
Die HD-Klassifizierung wird Weltweit unterschiedlich behandelt. In Westeuropa werden arthrotische Veränderungen an Pfanne und Kopf bewertet sowie das Ausmaß der Subluxation (teilweise Ausrenkung) des Gelenkkopfes. Die HD wird hier in 5 HD-Graden unterschieden:
- HD A = HD-frei, normal
- HD B = HD Übergangsform, Verdacht
- HD C = HD leicht
- HD D = HD mittel
- HD E = HD schwer
Beschreibung der HD-Grade für Hunde im Alter von 1 bis 2 Jahren unter der Voraussetzung einer korrekten Lagerung.
Kein Hinweis für Hüftgelenkdysplasie (HD A)
In jeder Hinsicht unauffällige Gelenke, Norberg-Winkel 105° oder mehr. Manchmal noch HD-A1 wenn der Pfannenrand den Oberschenkelknochen noch weiter umgreift.

Übergangsform (HD B)
Schenkelkopf oder Pfannendach sind leicht ungleichmäßig und der Norberg-Winkel beträgt 105° (oder mehr), oder Norberg-Winkel kleiner als 105° aber gleichförmiger Schenkelkopf und Pfannendach.

Leichte HD (HD C)
Oberschenkelkopf und Gelenkpfanne sind ungleichmäßig, Norberg-Winkel 100° oder kleiner. Eventuell leichte arthrotische (Gelenkabnutzung) Veränderungen.

Mittlere HD (HD D)
Oberschenkelkopf und Gelenkpfanne sind deutlich ungleichmäßig mit Teilverrenkungen. Norberg-Winkel größer 90°. Es kommt zu arthrotischen Veränderungen und/oder Veränderungen des Pfannenrandes.

Schwere HD (HD E)
Auffällige Veränderungen an den Hüftgelenken (beispielsweise Teilverrenkungen), Norberg-Winkel unter 90°, der Pfannenrand ist deutlich abgeflacht. Es kommt zu verschiedenen arthrotischen Veränderungen.

Diese Klassifizierung beruht ausschließlich auf den röntgenologisch erfassbaren Erscheinungen. Sie ist so eindeutig wie möglich formuliert und sollte für die Beurteilung aller Rassen dienen. Allerdings treten bisweilen Schwierigkeiten bei der Zuordnung der HD-Grade auf. Die Übergänge zwischen zwei Graden sind häufig fließend und somit führen sie zu abweichenden Beurteilungen von Hunden.
Dieses Problem führt schon seit Jahren zu Unstimmigkeiten unter den Gutachtern. Die Züchter sind natürlich ebenso betroffen und nicht immer einverstanden mit den Bewertungsergebnissen und legen Widerspruch gegen die Beurteilung ein.
HD-Klassifizierung der Hüftgelenksdysplasie in europäischen Ländern

In England steht ein schematisches Interpretationssystem in Form eines Punktesystems zur Verfügung. Je nach Schweregrad der Veränderung der Hüfte werden 9 verschiedene Merkmale dem Punktesystem 0 bis 6 Punkte zugeordnet. Aus der Punktesumme wird der HD-Grad berechnet. Die USA hingegen unterscheiden 7 HD-Grade (exellent, good, fair, border line, mild, moderate, severe).

